Localisation de la piste

Malheureusement, notre ancien site de vol qui était situé à St-Étienne de Lauzon n'existe plus car le nouveau propriétaire du terrain (QScale) a refusé de renouveler notre contrat de location.
Une nouvelle piste a été trouvée pour notre saison 2025.  Les travaux nécessaires pour avoir une piste ont été très long et sont maintenant terminés.

Notre CLub est maintenant ouvert.  consultez la page d'acceuil et vous pourrez voir les derniers travaux.

Nous vous invitons à regarder les images sur ce lien pour des informations concernant nos activités.

Cliquer sur ce lien   https://youtu.be/2NLqnbFLAio

    pour plus d'information sur nos activités lorsque nous étions à St-Étienne de Lauzon (notre ancien site de vol) 

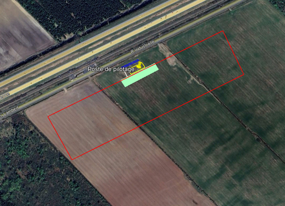
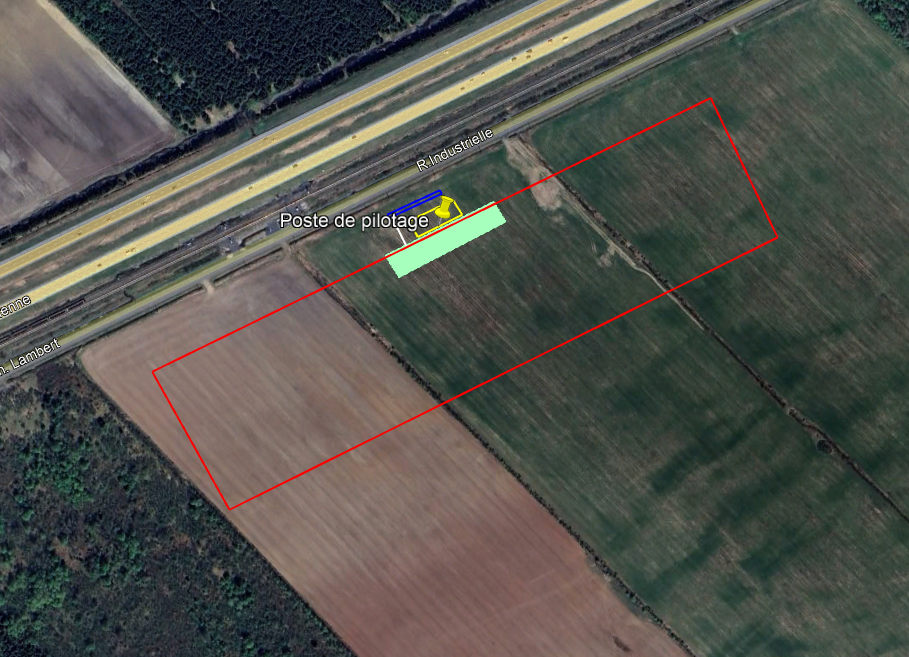
Nouvel emplacement de notre piste 2025.  Notre piste est située au sud de la route Industrielle à St-Apolliniare.

Pour vous y rendre, rendez vous en premier au 376 route Industrielle et continuez à rouler vers l'ouest pour environ 0,7Km

 

image site 2025
Cliquer sur l'image pour plus de détails